"After the 2025 bleaching: A Reef in Crisis" - Check our blog for more information and subscribe for project updates, news and events!
Marine Guardianship through Technology – An ROV-Based COTS Surveillance Program in Mauritius
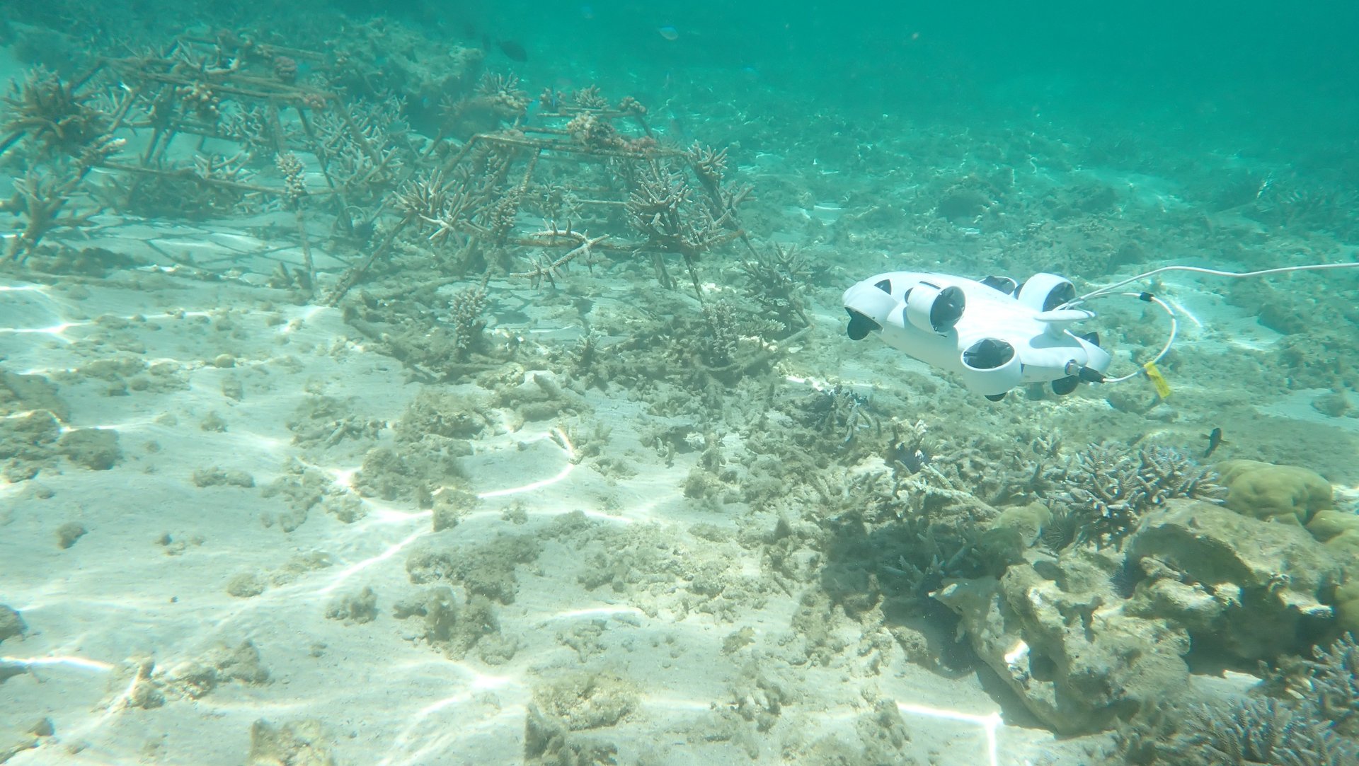
The health of coral reefs is under threat from climate change, pollution, and outbreaks of the Crown of Thorns Starfish (COTS), a coral-eating species that can devastate reef ecosystems if left unchecked. Recognising the need for innovative solutions, CGC launched the Marine Guardianship through Technology project, introducing Remotely Operated Vehicles (ROVs) to enhance reef monitoring efforts in Mauritius. Funded through the Varuna AMP Microproject, this initiative aims to improve coral conservation by utilising advanced technology for real-time data collection and surveillance. The project focused on integrating ROV technology to improve marine conservation efforts within the VMCA of St Felix on a test case basis. CGC procured a QYSEA FIFISH V-EVO ROV and equipped it with a temperature logger, and a waterproof GPS to conduct coral reef surveys with minimal human impact. A monitoring protocol was developed, allowing for systematic deployment of the ROV to designated survey sites. CGC staff underwent training in ROV piloting, troubleshooting, and data collection techniques. Initial tests were conducted in controlled environments before full-scale field deployments. The project also established two monitoring stations to track COTS populations, coral health, and biodiversity changes over time within the VMCA of St Felix.
The project successfully integrated ROV technology into marine conservation efforts, enhancing the accuracy and efficiency of reef monitoring. The ROV was deployed regularly within the VMCA of St Felix, providing high-quality footage and data on coral health and COTS populations. This new approach significantly reduced the need for snorkelling-based surveys, thereby minimising human disturbances to sensitive reef environments. Despite initial challenges such as ROV manoeuvrability in strong currents and battery life limitations, adaptive strategies were implemented to optimise operations. Additional training sessions improved piloting skills, and monitoring efforts were prioritised for key conservation areas to maximize efficiency. The Marine Guardianship through Technology project has demonstrated that ROV technology can revolutionise marine conservation in Mauritius. By enhancing real-time data collection and minimising human impact on reef ecosystems, CGC has set a new standard for coral reef monitoring. The successful pilot tests highlight the potential for scaling up this approach across other marine conservation areas. To further strengthen this initiative, CGC intends to (a) expand ROV-based monitoring to additional VMCAs in Le Morne and at reef sites, and (b) acquiring supplementary equipment, including longer battery life, underwater marker buoys, and enhanced data processing software. Moving forward, CGC aims to secure additional funding from corporate CSR programs, conservation grants, and public donations to sustain and expand the project. CGC is also exploring opportunities to integrate this technology into broader marine conservation initiatives, such as seagrass monitoring. Beyond direct conservation efforts, CGC will also place a strong emphasis on community awareness and engagement whereby captured footage from the ROV will be used to create educational content to be shared across CGC’s social media platforms and local outreach programs, promoting marine conservation awareness among the public.


Coral Garden Conservation
CGC © 2024 | All Rights Reserved | Disclaimer
Powered by Eco Marine Consultants Ltd
